New - 4 Days Ago
$80,000
Active
--
Beds
--
Baths
--
Sqft
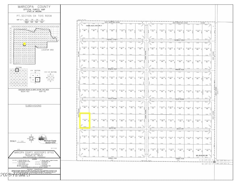
4.11
Acres
Harquahala Ranchitos -- #1, Tonopah, AZ 85354
MLS#: 7012323






$63,200
ACTIVEARMLS, MLS#: 6983902

All information should be verified by the recipient and none is guaranteed as accurate by ARMLS.
